Kabul Museum 1969

Copyright (c) Dr. Volker Thewalt
1969 / 22.02.2001
Index

Previous Home Next

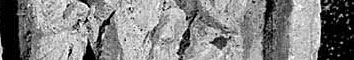
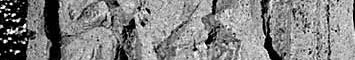
Museum Kabul : Teil eines Frieses, zwei Szenen mit Buddha und jeweils zwei Adoranten zwischen korinthisierenden Pilastern, aus Hadda, Kalkstein.
Photo : Thewalt 1969 (p5_69_02)

[ Vgl. Francine Tissot 2006, Catalogue of the National Museum of Afghanistan 1931-1985,
UNESCO publishing 2006, Paris, p. 375:
K.p. Ha. 994. 61. Limestone. V.T., P5.6902.
Part of a frieze. Two repeated scenes of the Buddha with two attendants, between Indo-Conthian pilasters.

Hadda (Ningrahar province)
The long and famous road from Kabul to the Khyber Pass follows the River Kabul through a rich and fertile valley with Jalalabad as its centre, and there, for centuries around the beginning of the first millennium, lived large communities of Buddhist monks. The countryside may have been the base for further travels to the north, east and far away.
Jules Barthoux, a member of DAFA, worked in the ruins of several monasteries, both small and large, from 1923 to 1928. He brought the finds, including many beautiful pieces of carving and modelling, to the Kabul Museum. Some pieces later came to the Musee Guimet in Paris. It is worth recording here the names of the monasteries: Bagh Gai, Chakhil-i Ghundi, Deh Ghundi, Gar Nau, Prates, Tepe Kafariha and Tepe Kalan.
In the 1970s, during the interlude of peace before the wars, two Afghan scholars, Sabbai Mustamandi and subsequently Zemarialai Tarzi, worked hard to excavate the Tepe Shotur monastery in the vicinity of Jalalabad. Whereas the French experts were interested in the wealth and beauty of their finds, the Afghan experts were more concerned about the architecture of the buildings. Their contributions led to a better understanding of the daily life of the inhabitants. However, beautiful pieces of modelling were also found in their excavations and they were stored and exhibited in situ. This splendid effort came to a tragic end because of human folly.
Bibliography
J. Barthoux, 1930, MDAFA, VI
B. Dagens, M. Le Berre and D. Schlumberger, 1964, MDAFA, XIX ]